无障碍浏览
长者模式
本站IPV6
瑞丽市政务服务管理局
返回栏目首页
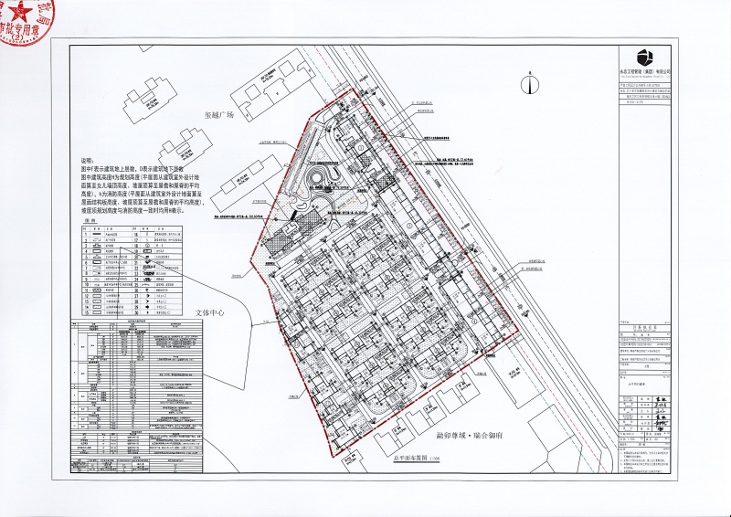
瑞丽市行政审批局关于瑞丽市民月成住宅小区建设项目建设工程规划许可证批后公布
浏览量:618 作者: 日期:2025/12/23
[附件:
瑞丽市民月成住宅小区建设项目建设工程规划许可证
]
文章来源:
瑞丽市行政审批局
上一篇:
瑞丽市行政审批局关于瑞丽市瑞垦云瑞新能源汽车展销中心建设项目建设工程规划许可证批后公布
下一篇:
瑞丽市行政审批局关于瑞丽市彭考明住宅楼建设项目建设工程规划许可证批后公布
主办单位:瑞丽市人民政府办公室
滇ICP备13000534号-1
滇公网安备 53310002000503号
联系电话:0692-6995799 政府网站标识码:5331020001 地址:瑞丽市新建路2号 邮编:678600