无障碍浏览
长者模式
本站IPV6
瑞丽市政务服务管理局
返回栏目首页
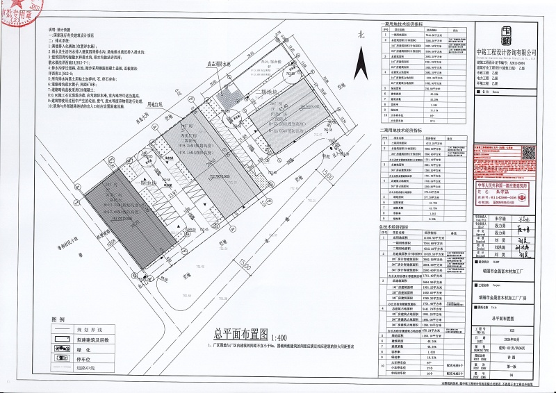
瑞丽市行政审批局关于瑞丽市金晟富木材加工厂建设项目(一期)建设工程规划许可证(变更)批后公布
浏览量:413 作者: 日期:2026/2/12
[附件:
瑞丽市金晟富木材加工厂建设项目(一期)建设工程规划许可证(变更)
]
文章来源:
瑞丽市行政审批局
上一篇:
瑞丽市行政审批局关于瑞丽市金晟富木材加工厂建设项目(二期)建设工程规划许可证(变更)批后公布
下一篇:
瑞丽市行政审批管理局关于瑞丽市童丹荷、郑建愉商业公寓楼建设项目建设用地规划许可证(变更)批后公布
主办单位:瑞丽市人民政府办公室
滇ICP备13000534号-1
滇公网安备 53310002000503号
联系电话:0692-6995799 政府网站标识码:5331020001 地址:瑞丽市新建路2号 邮编:678600